Pulgón de la Caña de Azúcar, en sorgo.

  • 1 de Junio, 2023
  • Advanta
Blog Images

Melanaphis sacchari, conocido cómo pulgón amarillo, o pulgón de la Caña de Azúcar, es considerado una plaga clave en el cultivo de sorgo, ya que tiene altísimas tasas de reproducción y potencial destructivo para el cultivo. (Singh, 2004) El pulgón de la Caña de Azúcar, Melanaphis sacchari, fue descubierto por primera vez en Argentina, en la provincia de Tucumán, en 1984 (Delfino M.A., 1985). A finales de la campaña de 2013, apareció con extrema virulencia en el cultivo de sorgo en Estados Unidos y México, y en Argentina se detectaron algunos focos puntuales a comienzos del año 2021. Es importante resaltar que, si no se realiza un monitoreo temprano y manejo adecuado, es capaz de causar importantes daños al cultivo.

Ciclo de Vida e identificación.

El pulgón de la Caña de Azúcar se encuentra principalmente en el envés de las hojas de sorgo. Su identificación suele dificultarse por el tamaño del insecto y el lugar de la planta dónde se ubica Quijano Carranza et al 2017. Los pulgones de la Caña de Azúcar son de color amarillo pálido su carácter distintivo respecto a otros pulgones es la presencia de un par de cornículos negros en la sección posterior Las puntas de los pies y las antenas son negras Debido a su pequeño tamaño, se recomienda el uso de una lupa de alta graduación para su mejor reconocimiento. Los pulgones de la Caña de Azúcar son hembras, y se reproducen asexualmente, aunque su fase sexual se ha reportado en Méjico Reay Jones Green, 2019. El pulgón tiene cuatro estadios ninfales. El desarrollo tarda entre 4 y 12 días desde el nacimiento hasta la edad adulta, según la temperatura (Chang et al 1982). La longevidad del adulto varía entre 10 y 37 días (Chang et al 1982 Singh et al 2004) puede ser con o sin alas, con un potencial reproductivo que varía de 34 a 96 ninfas por hembra dependiendo de la temperatura y la nutrición (Chang et al 1982 Singh et al 2004). El pulgón de la Caña de Azúcar no sobrevive en cultivos como maíz, algodón, soja o trigo. Sin embargo, se distribuyen por viento por lo que se pueden encontrar pequeñas colonias en estos cultivos, aunque hasta el momento, no se ha encontrado que sea de importancia económica. A diferencia de lo que ocurre con otros pulgones, no existe evidencia de que el pulgón de la Caña de Azúcar disminuya su población por la ocurrencia de precipitaciones abundantes.

Blog Images

 

SINTOMATOLOGÍA Y DAÑO

Los pulgones de la Caña de Azúcar se alimentan de la savia que la planta necesita para su desarrollo, aunque no existe evidencia de que inyecten toxina Producto de la alimentación, estos áfidos causan decoloraciones de las hojas que tienden a un color amarillo a rojo o marrón en ambos lados (Knutson et al 2016). Durante la etapa de desarrollo del grano el pulgón puede generar pérdidas significativas generando un estrés en la planta reduciendo el rendimiento y atrofiando el crecimiento de las plantas El pulgón intercepta los nutrientes destinados al desarrollo de hojas y panojas. Las infestaciones intensas durante el llenado del grano reducen los rendimientos al reducir el tamaño y peso del grano (Knutson et al 2016). A medida que el pulgón se alimenta, produce grandes cantidades de melaza, lo que hace que las hojas se vuelvan pegajosas y brillantes La melaza también puede favorecer el crecimiento de un hongo negro denominado fumagina. Este hongo disminuye la intercepción de la luz solar y reduce la capacidad de la planta para producir azúcares a través de la fotosíntesis Además, abundante melaza puede incrementar los tiempos de cosecha (Knutson et al 2016).

PRESENCIA A CAMPO Y DAÑO

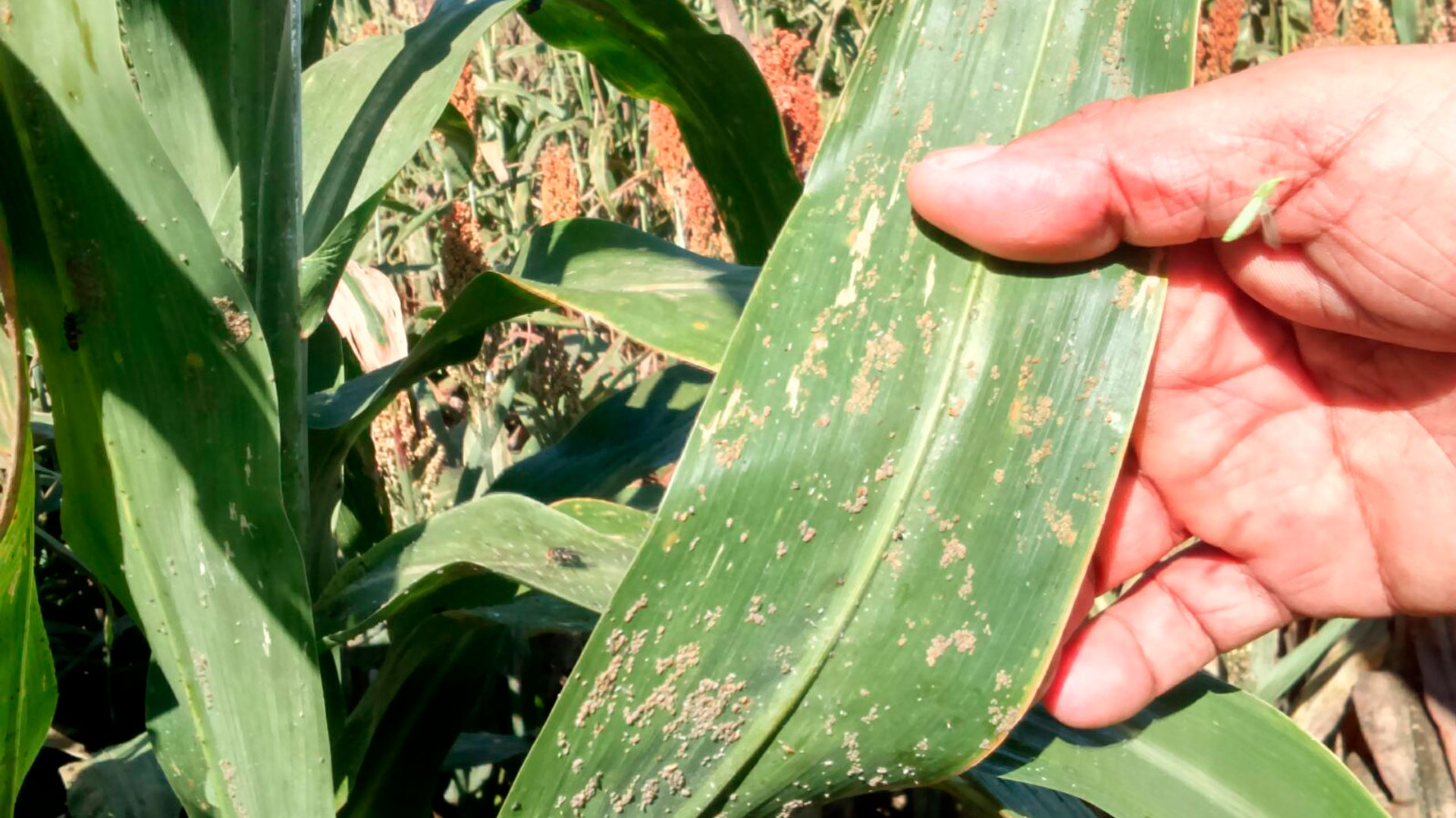
Blog Images

 

// Colonias de pulgones de la Caña de Azúcar ubicados alrededor de la nervadura central del envés de la hoja de sorgo. (a)
Blog Images

 

// Decoloración de las hojas (morado y, eventualmente, necrosis), formación reducida de panojas y desarrollo retardado (comparar el sorgo dañado por el pulgón de la Caña de Azúcar en primer plano vs el sorgo libre de pulgones al fondo). (b)

 

// Síntomas de daño asociados a la alimentación del pulgón de la Caña de Azúcar. Se observa en la Imagen derecha: Daño severo por pulgón de la Caña de Azúcar que resultó en una emergencia deficiente de la panoja y sin polinización. (b)

 

MONITOREO. Importancia de la detección temprana.

La detección temprana es fundamental para minimizar los daños del pulgón, siendo imprescindible su monitoreo. El momento para su control efectivo depende del tamaño de la población. Para ello:

  • Una vez a la semana, revisar plantas a lo largo de 15 metros lineales. Evitar recorrer en la cabecera o borduras del lote.
  • En cada estación de recuento, recolectar una hoja de la parte inferior y superior de 15 20 plantas. Observar presencia y ubicación de pulgones.
  • Revisar al menos 4 áreas por ote para que sumen un total de 60 a 80 plantas.
  • Si la presencia de pulgones es nula, continuar monitoreando semanalmente Si se encuentran pulgones en las hojas del tercio medio o inferior, realizar el monitoreo 2 veces por semana.
  • Utilizar el “Protocolo de muestreo” y la “Guía ¿Cómo estimar la cantidad de pulgón amarillo?” para determinar si las densidades de pulgones superan el umbral conómico.

Monitoreo en 4 estaciones de muestreo.

Blog Images

 

Fuente:Sorghum Checkoff. Defense Against the Sugarcane Aphid.

 

DAÑO ECONOMICO Y MUESTREO

NIVEL DE DAÑO ECONOMICO (NDE), UMBRAL DE ACCIÓN (UA)

El NDE es el nivel de población de una plaga que cuando es alcanzado, causa al cultivo y por ende a la producción, un daño económicamente significativo. Por otra parte, el UA establece el punto de la densidad poblacional de la plaga en la que se deben tomar medidas de control para evitar que una población de plagas en aumento alcance el NDE.
Protocolo de muestreo: Evaluar la decisión de aplicación Bowling et al., (2015) (Texas A&M University) indican que para determinar si un tratamiento con insecticida es necesario, deberemos determinar la presencia y el número de pulgones en las hojas. Para evaluar la decisión de aplicación, seguir los siguientes pasos:

  1. Seleccionar 5 plantas al azar de cada una de las 4 estaciones de muestreo.
  2. Examinar una hoja verde superior e inferior de cada planta, excluyendo hoja bandera, 40 hojas en total) y estimar el número total de pulgones en cada hoja.
  3. Calcular el número promedio de pulgones por hoja (total de pulgones contados / 40 hojas = promedio de pulgones hoja).
  4. Aplicar insecticidas cuando se haya alcanzado el umbral. Si el promedio de infestación de pulgones por parcela es de 50 o más pulgones por hoja, aplique insecticida en menos de 4 días.
  5. Evalúe el control de 3 a 4 días después de la aplicación. (Consideraciones: Si se limita el monitoreo una vez por semana, considere la aplicación con menos de 50 pulgones por hoja. Si la infestación es menor al nivel umbral, continúe monitoreando 2 veces por semana.)

 

GUIA

¿Cómo estimar la cantidad de pulgón amarillo?

Estimar la cantidad de pulgones de la Caña de Azúcar por hoja ayuda a programar las aplicaciones de insecticidas para el control del pulgón amarillo. Cada foto representa una estimación de la tabla. Por ejemplo, la foto A muestra unos 12 pulgones. Bowling et al.,(2015)

Blog Images

 

Blog Images

 

Los pulgones de la Caña de Azúcar solo pueden sobrevivir en especies relacionadas con el sorgo.

Blog Images

 

Bibliografía:

  • - Bowling, R. D., Brewer, M. J., Kerns, D. L., Gordy, J., Seiter, N., Elliott, N. E., Buntin, D.G., Way M.O., Royer, T.A. Biles, S., & Maxson, E. (2016). Sugarcane aphid (Hemiptera: Aphididae): a new pest on sorghum in North America. Journal of Integrated Pest Management, 7(1).
  • - Bowling R. D., Brewer M. J., Knutson A., Way M.O., Porter P., Bynum E., Allen C., Villanueva R. (2015). Scouting Sugarcane Aphids. Texas A&M Agrilife Research.
  • - Bowling R. & Thomas J. 2017. Sugarcane Aphid Identification. Texas A&M
  • - Bynum E., Porter P., Reed B., Siders K. & Doederlein T. (2016). Sugarcane Aphid Management Guide.
  • - Chang, C. P., M. N. Fang, and H. Y. Tseng. 1982. Studies on the life history and varietal resistance in grain sorghum aphid, Melanaphis sacchari Zehntner in central Taiwan. Chinese Journal of Entomology. 2: 70 81.
  • - Delfino, M.A., 1985. Discovery of the sugarcane aphid, Melanaphis sacchari (Zehntner, 1897) in Argentina and Uruguay. Rev. Invest. CIRPONO 2, 57 64.
  • - Knutson A., Bowling R., Brewer M., Bynum E., Porter P. 2016. Texas A&M Agrilife Extension Service. Ento 035 4/16.
  • - Quijano Carranza, J. A., Pecina Quintero, V., Bujanos Muñiz, R., Marín Jarillo, A., & Yáñez López, R. (2017). Guía 2017 para el manejo del pulgón amarillo del sorgo. INIFAP, Guanajuato, México.
  • -Reay Jones & Green, 2019. Sugarcane Aphid as a Pest of Sorghum.
  • - Singh, B. U., Padmaja, P. G., & Seetharama, N. (2004). Biology and management of the sugarcane aphid, Melanaphis sacchari (Zehntner) (Homoptera: Aphididae), in sorghum: a review. Crop Protection , 23 ( 739 755.
  • - Sorghum Checkoff. Best Management Practices to combat the sugarcane aphid.
  • - Texas A&M Agrilife Extension Service